

台风“桦加沙”逐渐远离,9月24日16时起深圳解除“五停”!

深圳特区报
2025-09-24
00:12台风“桦加沙”逐渐远离,深圳解除“五停”!
读特客户端
2025-09-24
00:09深圳市三防办紧急提醒:不要外出!
读特客户端
2025-09-24

广东省人民政府关于切实做好今年第18号台风“桦加沙”防御工作的紧急动员令
广东省人民政府
2025-09-23

全省抗击18号台风工作会议召开 全面进入临战状态 抢抓窗口期做好防御准备 以高标准严要求硬举措筑起坚固防线 黄坤明讲话 王伟中主持 孟凡利出席
南方+
2025-09-22

全市抗击18号台风工作会议召开 坚决打好打赢台风防御硬仗 全力保障人民群众生命财产安全 孟凡利覃伟中出席

深圳特区报
2025-09-22

广东省防汛防旱防风总指挥部将防风Ⅳ级应急响应提升为防风Ⅱ级应急响应
读特客户端
2025-09-23

台风“桦加沙”逐渐远离!影响期间深圳发布有气象预警以来第五个台风红色预警信号

深圳特区报
2025-09-24
00:43粤港澳琼九地联动直击“桦加沙”,阳江日报记者直击台风登陆现场!
读特客户端
2025-09-24

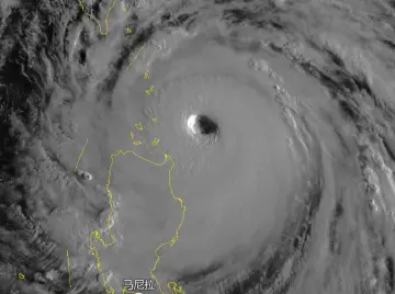
台风“桦加沙”已在广东阳江海陵岛沿海登陆
@中国天气
2025-09-24

65.1米/秒!“桦加沙”创下广东省国家气象站新纪录
人民日报客户端
2025-09-24
00:12台风“桦加沙”逐渐远离,深圳解除“五停”!
读特客户端
2025-09-24
00:18深圳气象台:“桦加沙”比预计风力小两级
读特客户端
2025-09-24

“桦加沙”将于24日下午到夜间在台山到徐闻沿海登陆
南方+
2025-09-24
00:22滨河大道皇岗村处一倾倒大树压住一辆停运出租车
读特客户端
2025-09-24
00:21大鹏新区玫瑰海岸风雨再次加强
读特客户端
2025-09-24

风力影响较“山竹”小两级!“桦加沙”在距深150公里近海掠过

深圳晚报
2025-09-24
00:17深汕附近海域 或有3—5米巨浪!
读特客户端
2025-09-24

温度记|已进入10级风圈!@深圳人,24日这个时段不要外出!

读特客户端
2025-09-24

“桦加沙”正在掠过深圳近海!24日全市继续“五停”
深圳天气 中国天气
2025-09-24
00:13台风“桦加沙”给深圳各区带来的风力如何?
读特客户端
2025-09-23

晶视频丨深圳气象台:今日夜间至明日,“桦加沙”风雨最大

晶报
2025-09-23
00:40深圳台风预警或将升级为红色!

读特客户端
2025-09-23

深圳市解除所有暴雨预警信号|滚动更新

读特客户端
2025-09-24

广东防风应急响应提升为Ⅰ级
读特客户端
2025-09-23

温度记丨17级超强台风“桦加沙”逼近广东,深圳今日午后风雨增大,注意防御!
读特客户端
2025-09-23

深圳市台风预警信号升级为黄色 今夜到明日深圳风雨最强

深圳特区报
2025-09-23

“桦加沙”距深500公里!今天上午深圳局地有短时阵雨,风力有所加强

深圳特区报
2025-09-23

广东大部分地市已进入台风7级风圈范围|持续关注
读特客户端综合
2025-09-24
00:09福田应急避险点变身“临时影院” 500名工友台风天安心观影 (深圳特区报记者 沈勇 杨浩瀚 通讯员 孙健 文/视频 李文媛/剪辑)
读特客户端
2025-09-24
00:14台风天温暖守护,杨美社区为转移安置的90岁老人送上餐食
读特客户端
2025-09-24
00:39台风夜,看看工友们在干啥?
读特客户端
2025-09-24
00:32南园街道中小学变身应急避难场所 为473名群众筑起“避风港”
读特客户端
2025-09-23
00:19台风天暖胃更暖心 千份爱心餐紧急送至安置点
读特客户端
2025-09-23
00:49超强台风“桦加沙”来袭 看海上平台如何高效避台
读特客户端
2025-09-23
00:14直击福田体育公园应急场所:现场居民已妥善安置
读特客户端
2025-09-23

“有吃的有喝的,心里就就踏实了”!建筑工人“点赞”孝德学校应急避难点
读特客户端
2025-09-23

深圳大学开放避难场所提供防台风避险安置服务

深圳特区报
2025-09-23
00:13她们在避难场所绣围裙、绣鞋垫!罗湖34处避难场所集中安置3000多名工友

深圳晚报
2025-09-23

台风“桦加沙”来袭,罗湖区34处应急避难场所开放(附完整名单)

深圳晚报
2025-09-23

实探深圳应急避难场所:865处已全部开放,成群众温暖“避风港”

深圳晚报
2025-09-23

南山:开放避难场所71处,共转移安置35550人 | 防御台风“桦加沙”

深圳特区报
2025-09-23

台风“桦加沙”来袭!深圳各区应急避难场所公布→

读特客户端
2025-09-23

市三防办:已疏散转移约26万人 避难场所集中安置约4.5万人

深圳晚报
2025-09-23
00:14470余名工友的暖心安置点!福田应急避难场所开放,物资充足供应

深圳晚报
2025-09-23

宝安区室内应急避难场所一览(2025年9月23日)
读特客户端
2025-09-23

台风黄色预警信号发布!龙华开启室内应急避难场所
读特客户端
2025-09-22
00:25深圳865处应急避难场所已做好物资准备
读特客户端
2025-09-22
深圳市三防办:全市865所应急避难场所随时开放,各类应急抢险队伍已整装待发
读特客户端
2025-09-22

全面做好各项防御准备工作,南山开放避难场所52处
读特客户端
2025-09-22

“桦加沙”逼近!深圳大鹏应急避难场所开放,这些景区已经关闭
读特客户端
2025-09-22
00:37深圳市三防办:深圳已疏散转移约26万人 避难场所集中安置约4.5万人

深圳晚报
2025-09-23
00:38490余名建设者在福田枢纽临时避难场所“安家”

深圳晚报
2025-09-23

深圳众志成城打好台风“桦加沙”防御战

深圳特区报
2025-09-25

“我们守好岗,患者来了能立刻得到诊治”

深圳特区报
2025-09-25

守望相助战台风 雨骤风急仍从容

深圳特区报
2025-09-25
02:12鹏城安好,感谢有你!

读特客户端
2025-09-24

“今天是最想外卖小哥的一天!”台风过后,深圳神速“复位”

读特客户端
2025-09-24
00:14深圳电网整体平稳有序,深港电力联络线路安全稳定运行
读特客户端
2025-09-24

风雨中的精神家园:应急避难场所里的电影之夜与书香课堂

深圳特区报
2025-09-24

气象守护者的不眠夜

深圳特区报
2025-09-24

深圳电网整体平稳有序,深港电力联络线路安全稳定运行

深圳特区报
2025-09-24

深圳海吉星全面恢复正常运营:日均6000多吨生鲜农产品,持续稳定供应深港两地

深圳特区报
2025-09-24

全市2000多万市民支持,深圳众志成城同心共战“桦加沙”

深圳特区报
2025-09-24

记者直击深圳交警路面清障保畅:“衣服湿了就烘干,烘干了就接着上”

深圳特区报
2025-09-24

满城风雨,总有人护您周全——写在超强台风“桦加沙”过境深圳之后

深圳特区报
2025-09-24

风过雨歇,深圳商超开门外卖平台恢复营运
读特客户端
2025-09-24

台风“桦加沙”影响减弱,广深高速、南沙大桥、虎门大桥解除交通管制

深圳特区报
2025-09-24

On call 24小时!深圳物业迎战台风“桦加沙”暖心守护

深圳特区报
2025-09-24
00:17宝安风消雨住 前海冰雪将至
读特客户端
2025-09-24
00:10车辆后半身被大树砸中!深汕消防半小时清除安全隐患
读特客户端
2025-09-24
00:24台风“桦加沙”降级,深圳交通部门高效响应,城市公共交通有序恢复。
读特客户端
2025-09-24
00:17回去咯!深汕率先解除“五停”,安置人员有序撤离
读特客户端
2025-09-24

台风“桦加沙”过境深圳,流浪猫有了“庇护所”

读特客户端
2025-09-24
00:09深圳机场自9月24日20时起恢复航班运行
读特客户端
2025-09-24

深圳机场:自9月24日20时起恢复航班运行
深圳机场发布微信号
2025-09-24

9月24日16时30分起,深圳湾口岸恢复通关服务!
深圳口岸发布微信公众号
2025-09-24
00:24应对台风“桦加沙”,深圳12345热线增设“台风暴雨紧急求助”入口,保障24小时人工服务
读特客户端
2025-09-24
00:23台风“桦加沙”影响深圳 海事部门坚守筑牢安全防线
读特客户端
2025-09-24
00:13天津大姐求职遇上台风 鹏城暖意化解“临时危机”
读特客户端
2025-09-24
00:37地铁安置区里的“暖心”包子铺
读特客户端
2025-09-24
00:23桦加沙”来袭!深圳交警“狂飙”式护送临产孕妇
读特客户端
2025-09-24

风雨中,看见深圳的力量

读特客户端
2025-09-24
00:22台风“桦加沙”影响持续,深圳公益救援队出发清理路障
读特客户端
2025-09-24
00:16受台风“桦加沙”影响,大鹏新区溪涌度假村已关闭
读特客户端
2025-09-24
00:28大梅沙海滨公园因台风影响已闭园 今早海浪高达四五米
读特客户端
2025-09-24
00:25台风天温暖守护!宝安366名孕妇提前入院待产
读特客户端
2025-09-24

24小时台风救助电话开通!深圳公益救援队备勤迎战超强台风“桦加沙”
读特客户端
2025-09-23
00:17暖心!台风天老人求助 社工助安全转移
读特客户端
2025-09-24
00:09深圳市三防办紧急提醒:不要外出!
读特客户端
2025-09-24
00:34台风之前剪叶修枝,究竟该不该?
读特客户端
2025-09-24

深圳市发布分区暴雨橙色预警信号,随着台风“桦加沙”逐渐靠近,风力有明显加强,切勿放松警惕!
@深圳天气、深圳天气订阅号
2025-09-24

深圳地铁最新公告:目前未恢复运营,恢复时间另行通知
@深圳地铁
2025-09-24
00:31“小”油锯“大”用场 罗湖区组建“清障”特别行动队
读特客户端
2025-09-24
00:19台风天暖胃更暖心 千份爱心餐紧急送至安置点
读特客户端
2025-09-23
00:18“桦加沙”来袭!罗湖区启用无人机巡查 织就防台风“天眼”
读特客户端
2025-09-23
00:28深汕全力防御超强台风“桦加沙” 累计转移超1. 8万人
读特客户端
2025-09-23
00:11唱歌下棋“逗”机器狗!直击福田应急避险点整“花活”
读特客户端
2025-09-23
00:19台风来袭,罗湖区34处应急避难场所全面开放! 已安全转移近9000人
读特客户端
2025-09-23
00:27蛇口边检全力防御台风"桦加沙"
读特客户端
2025-09-23
00:12深圳120将启用“硬核装备”!涉水救护车来了
读特客户端
2025-09-23
00:18暖心!特殊青年小刘避险记
读特客户端
2025-09-23
00:09深圳人注意 这条隧道已封闭!车辆行人均不可通行
读特客户端
2025-09-23
应对“桦加沙”深圳急救中心亮实招:24小时值守+专属涉水救护车保救援
读特客户端
2025-09-23

全市实行“五停” 26万人完成疏散转移 深圳全力防抗台风“桦加沙”

深圳特区报
2025-09-23

救助热线24小时畅通!深圳市救助站多措并举保障流浪露宿人员安全

深圳特区报
2025-09-23

严阵以待!应对台风“桦加沙”,深圳民政在行动

深圳特区报
2025-09-23
00:49超强台风“桦加沙”来袭 看海上平台如何高效避台
读特客户端
2025-09-23

深圳台风红色预警信号生效中!请注意防范

深圳晚报
2025-09-23
00:46“深圳,谢谢你让我这个异乡人有了家的感觉”

读特客户端
2025-09-23
00:26深圳全力防御台风“桦加沙”

读特客户端
2025-09-23
00:41人工智能模型“智霁”,助力预测“桦加沙”强度与路径

读特客户端
2025-09-23

台风期间供港“绿色生命线”有序通畅,海关多措保障香港市民餐桌供应

深圳晚报
2025-09-23

市三防办:已疏散转移约26万人 避难场所集中安置约4.5万人

深圳晚报
2025-09-23

做足准备“战”台风!硬核装备+智慧防御“守住”水闸谨防海水倒灌

宝安日报
2025-09-23

新安灵芝园社区:全面启动应急机制 防御台风“桦加沙”

宝安日报
2025-09-23

外卖、生鲜配送平台将于18时暂停配送服务

深圳晚报
2025-09-23

美团外卖23日18点起在深圳暂停外卖服务

深圳特区报
2025-09-23

超强台风“桦加沙”来袭 深圳保险业严阵以待

深圳商报・读创客户端
2025-09-23

晶视频|桦加沙,我有“镇宅之宝”!

晶报
2025-09-23

晶视频|“桦加沙”来袭 “喜洋洋”和“乐融融” 也被绑起来

晶报
2025-09-23

深圳市台风红色预警信号预发布

深圳特区报
2025-09-23

台风“桦加沙”来临前,深圳街头这一幕让网友直呼“绷不住了!”

读特客户端
2025-09-23

市急救中心启动台风应急预案,配备涉水救护车

深圳晚报
2025-09-23

深圳1248艘渔船回港避风,2538名渔民上岸避险

深圳特区报
2025-09-23
00:09深圳地铁“下班高峰”提前上线

读特客户端
2025-09-23
00:12深圳市交通运输局全面巡查全市道路桥梁安全

读特客户端
2025-09-23

量足价稳 深汕全力保障生活物资供应

深圳新闻网
2025-09-23

大鹏新区抗击18号台风工作会议召开
读特客户端
2025-09-23

福田区多举措应对超强台风“桦加沙”,筑牢群众安全防线

深圳新闻网
2025-09-23

严阵以待! 深圳消防闻风而动备战超强台风“桦加沙”

深圳新闻网
2025-09-23

超强台风“桦加沙”逼近 深圳启动特种设备安全防范应急响应

深圳新闻网
2025-09-23

被子、热水、不断电!龙岗街道开放12处避难所,迎接662名转移群众

深圳新闻网
2025-09-23

最强台风“桦加沙”来袭 西九龙边检站多举措保障口岸安全

深圳特区报
2025-09-23

宝安海域清爽 船舶均已离港避风
读特客户端
2025-09-23
00:11多家外卖平台:深圳区域今天18时前停止接单

读特客户端
2025-09-23

这一刻,给深圳政府点赞

深圳特区报
2025-09-23
00:17今天20时起,除抢险救援外,全市公共交通有序停运!

读特客户端
2025-09-23
00:07来深求职者台风天收到社区应急物资,直呼“这一刻谁懂啊”

读特客户端
2025-09-23

深圳多家文化演出场馆临时闭馆

深圳特区报
2025-09-23

深圳物协发布倡议书:全力保障人民群众生命财产安全
深圳市物业管理行业协会
2025-09-23

深圳全市高速公路9月23日20时实施交通管制

深圳特区报
2025-09-23
00:09紧急通知!深圳机场自9月23日20时起暂停航班运行

读特客户端
2025-09-23

深中跨市公交已于今天中午起停运

深圳特区报
2025-09-23

受台风“桦加沙”影响,深圳机场多班航班临时取消
读特客户端
2025-09-23

深圳全市公共交通将有序停运,公交、的士、网约车23日20时起停止服务

深圳特区报
2025-09-23

粤港直通巴9月23起至25日全线停班
读特客户端
2025-09-23

“菜篮子”管够!记者直击深圳各大市场、商场→
读特客户端
2025-09-23
00:07末班车18时发出!深圳地铁全线网今日提前结束运营

深圳晚报
2025-09-23
00:09深圳地铁今日提前结束运营,末班车18时发出

读特客户端
2025-09-23

深圳地铁9月23日晚停运,末班车18时发出
@深圳地铁
2025-09-23

“风王”逼近,这10个保命操作,赶紧收藏转发!
读特客户端
2025-09-23

今日机场汽车站发班至17:45止,公交将接驳最后一班地铁

宝安日报
2025-09-23

最强17级!超强台风“桦加沙”来袭,防御指南速速收好
读特客户端
2025-09-23
00:13深圳于23日10时发布台风橙色预警信号!“桦加沙”即将进入我市500公里范围

读特客户端
2025-09-23

迎战“桦加沙”!深圳各大商超连夜补货,货足价稳!
读特客户端
2025-09-23

深圳供应链体系完善高效,肉菜粮油绝对管够!市商务局:市民无需盲目跟风囤货

深圳特区报
2025-09-23

直击台风来临前的鲘门码头 渔民将渔船“迁移”到岸上

深圳特区报
2025-09-23

深圳中小学幼儿园今明两天停课

深圳特区报
2025-09-23

供电局4000余人应急队伍准备就绪

深圳特区报
2025-09-23

台风未到,7000吨蔬菜今晨已到货!深圳人的“菜篮子”“米袋子”管足管够

深圳特区报
2025-09-23
00:16不用慌!深港市民最大“菜篮子”管够

深圳晚报
2025-09-22

重要提醒!这些市属郊野(森林)公园临时闭园!
读特客户端
2025-09-22

台风黄色预警信号发布!宝安开启室内应急避难场所
读特客户端
2025-09-22

深圳发布提醒告诫书:台风期间哄抬价格,捏造、散布涨价信息,最高罚300万!

深圳特区报
2025-09-22

深圳全市公园闭园

深圳特区报
2025-09-22

“桦加沙”逼近!零售平台备货量最高提升80%,多措施保障配送安全

读特客户端
2025-09-22

台风黄色预警信号发布!龙华开启室内应急避难场所
读特客户端
2025-09-22
00:15深圳台风黄色预警信号已生效 超强台风 “桦加沙”即将进入南海!
读特客户端
2025-09-22

迎战台风“桦加沙”!深农集团全力守护城市“菜篮子”量足价稳

深圳商报・读创客户端
2025-09-22

评论 | 台风即将来袭,充足物资为安心兜底

深圳特区报
2025-09-22

受台风“桦加沙”影响,深圳全市在建工程全面停工

深圳特区报
2025-09-22

深圳发布台风期间价格监管提醒 严禁哄抬物价等行为

深圳新闻网
2025-09-22

受台风“桦加沙”影响,深圳巴士集团所有公园观光线路暂停运营

深圳特区报
2025-09-22

深圳市台风蓝色预警信号升级为黄色
读特客户端
2025-09-22

光明薯田埔社区多维度筑牢台风“前置防线”
读特客户端
2025-09-22

光明区民政局严阵以待 全力筑牢防台风安全防线
读特客户端
2025-09-22

受台风“桦加沙”影响,深博南博官宣“临时闭馆”

深圳特区报
2025-09-22

深圳全市水务系统严阵以待防御台风“桦加沙”

深圳特区报
2025-09-22

1700余人安全撤离,海上平台启动“无人模式”

深圳晚报
2025-09-22
速看!深圳23日起迎强风雨 多部门齐发安全防范要点

深圳晚报
2025-09-22

@深圳市民:米面粮油肉菜充足,按需选购

深圳晚报
2025-09-22

台风“桦加沙”来袭,广东地质与海洋灾害防御形势最新研判来了!

深圳商报・读创客户端
2025-09-22
00:13深圳机场自9月23日20时起暂停航班运行
读特客户端
2025-09-22
00:19迎战超强台风“桦加沙”,深圳商超前置备货保障生活物资供应
读特客户端
2025-09-22
00:26超强台风来临前的码头静悄悄 大型渔船转移到香港避风
读特客户端
2025-09-22

深圳地铁将可能采取线路停运措施

深圳特区报
2025-09-22

深圳地铁将可能采取线路停运措施

深圳特区报
2025-09-22
00:16大亚湾海事局抢抓双台风窗口期 全力保障大湾区天然气稳定供应
读特客户端
2025-09-22

南方电网深圳供电局以最高级别响应备战超强台风“桦加沙”

深圳特区报
2025-09-22

快讯!深圳机场自9月23日20时起暂停航班运行

深圳特区报
2025-09-22
00:13严阵以待防“桦加沙”!深圳城管多举措筑牢城市安全防线
读特客户端
2025-09-22
00:30“桦加沙”来临前 罗湖区超市备货量充足 早晚班全员在岗
读特客户端
2025-09-22

深圳交警:因避险临时停车不处罚

深圳特区报
2025-09-22
00:09受台风影响,9月23日至24日深圳市中小学、幼儿园、教培机构停课!
读特客户端
2025-09-22

深圳海吉星日均蔬菜来货量近5600吨!全力守护台风天市民“菜篮子”

深圳特区报
2025-09-22

台风“桦加沙”来袭!深圳各区应急避难场所公布→

读特客户端
2025-09-23

受台风“桦加沙”影响,春秋航空部分进出揭阳潮汕机场的航班临时取消

深圳特区报
2025-09-22

台风“桦加沙”来袭,蛇口边检站全力保障“爱达·地中海”号邮轮离港避风

深圳特区报
2025-09-22

深圳台风黄色预警信号预发布,22日21时前后升级黄色!

深圳特区报
2025-09-22

超强台风“桦加沙”来袭,深圳铁路24日所有旅客列车停运

深圳特区报
2025-09-22

全面做好各项防御准备工作,南山开放避难场所52处
读特客户端
2025-09-22

“桦加沙”逼近!深圳大鹏应急避难场所开放,这些景区已经关闭
读特客户端
2025-09-22

注意!广东省内所有高铁、普速列车9月24日停运

读特客户端
2025-09-22

“桦加沙”最新动态:将以超强台风级进入南海

深圳特区报
2025-09-22

温度记丨“桦加沙”叠加冷空气或堪比“山竹”!深圳明日夜间起将迎风雨最强时段

读特客户端
2025-09-22

南山:开放避难场所52处,组建11支应急救援队伍

深圳特区报
2025-09-22

62米/秒,17级以上!台风“桦加沙”已经“强到爆表”
羊城晚报•羊城派
2025-09-21

“风王”已升至17级,广东多地下周或停工停课!台风“桦加沙”逼近,请收好这份超全防范指南

读特客户端
2025-09-21

受台风“桦加沙”影响 国家海洋预报台发布海浪橙色警报
央视新闻客户端
2025-09-21

深圳海事局提级启动防台风III级应急响应!9月22日2时起,对大型集装箱班轮采取只离港不进港管理措施

深圳特区报
2025-09-21

注意防范!台风“桦加沙”将给南海及华南带来强风暴雨
中央气象台
2025-09-21

“桦加沙”强度三级跳,深圳或将发布台风红色预警信号!

深圳特区报
2025-09-21

“桦加沙”升级为超强台风!23-24日深圳机场可能不具备起降条件
读特客户端
2025-09-21

直播|深圳报业集团记者多路直击超强台风“桦加沙”

读特客户端
2025-09-21

“桦加沙”已加强至超强台风级!9月24日或靠近广东沿海
羊城晚报·羊城派
2025-09-21

第18号台风“桦加沙”已加强为超强台风级

深圳特区报
2025-09-21

温度记丨暴雨红色预警生效!“桦加沙”致灾风险直逼“山竹”,下周深圳将迎狂风暴雨

读特客户端
2025-09-21

深圳市解除所有暴雨预警信号|滚动更新

读特客户端
2025-09-24

9月23日14时起,深圳分批“五停”
深圳应急管理
2025-09-23
00:09台风过后的深圳,又是整整齐齐
读特客户端
2025-09-24
00:46澳头公寓附近两棵大树被狂风刮倒 市民称曾目睹倒塌瞬间
读特客户端
2025-09-24
00:15深圳市滨河小学门口一建筑工地围挡被台风吹倒
读特客户端
2025-09-24
00:22滨河大道皇岗村处一倾倒大树压住一辆停运出租车
读特客户端
2025-09-24
00:21大鹏新区玫瑰海岸风雨再次加强
读特客户端
2025-09-24
00:16受台风“桦加沙”影响,大鹏新区溪涌度假村已关闭
读特客户端
2025-09-24
00:17龙华观澜河:水位上涨、水流湍急
读特客户端
2025-09-24
00:17暖心!台风天老人求助 社工助安全转移
读特客户端
2025-09-24
00:28记者现场直击:蛇口风力已达行人移动困难,一工地围墙被吹倒
读特客户端
2025-09-24
00:50记者大鹏现场直击:风大雨大、树木倒伏 提醒市民请勿外出!
读特客户端
2025-09-24
00:15深圳报业集团记者直击广东陆地最大风力点
读特客户端
2025-09-24
00:19顶风冒雨!深圳交通路政人员展开全市路面巡查
读特客户端
2025-09-24
00:08深圳进入台风“桦加沙”10级风圈影响范围
读特客户端
2025-09-24
00:17深汕附近海域 或有3—5米巨浪!
读特客户端
2025-09-24
00:14台风来袭!深圳交警紧急护航保畅通
读特客户端
2025-09-24
00:23台风“桦加沙”逼近,深圳风势雨势如何?记者直击
读特客户端
2025-09-24
00:34台风之前剪叶修枝,究竟该不该?
读特客户端
2025-09-24
00:10非必要不出门! 9月24日继续“五停”!

深圳晚报
2025-09-24
00:14迎战“桦加沙”!黄贝岭青年突击队闻“汛”出击,合力守平安

深圳晚报
2025-09-24
00:39台风夜,看看工友们在干啥?
读特客户端
2025-09-24
00:18走!去安置点避险!南山区住建局保障转移199个项目34360名工人
读特客户端
2025-09-23

晶视频|应对台风!市急救中心涉水救护车随时待命

晶报
2025-09-23
00:13台风“桦加沙”给深圳各区带来的风力如何?
读特客户端
2025-09-23

晶视频 | 台风夜两孕妇急送医 深圳交警全力护航

晶报
2025-09-23

晶视频|特设女性专区 可安置千人! 深圳启动最大应急安置点

晶报
2025-09-23

晶视频丨看电影、打篮球、滚铁环……他们在应急安置点很暖心

晶报
2025-09-23
湾视频|坳颈涌水位正常 “风王”来袭 宝安已布防
读特客户端
2025-09-23
00:13台风“桦加沙”逼近 深圳大梅沙海滨公园 掀起数米高巨浪

深圳特区报
2025-09-23
00:18台风天里的“精神补给” 这所学校给避险工人搬来100多本书

深圳特区报
2025-09-23
00:19台风天暖胃更暖心 千份爱心餐紧急送至安置点
读特客户端
2025-09-23
湾视频 | 防御台风避险请就近
读特客户端
2025-09-23
00:11唱歌下棋“逗”机器狗!直击福田应急避险点整“花活”
读特客户端
2025-09-23
湾视频 | 应急避难场所公明中学做好防台风准备
读特客户端
2025-09-23
00:19台风来袭,罗湖区34处应急避难场所全面开放! 已安全转移近9000人
读特客户端
2025-09-23
00:27蛇口边检全力防御台风"桦加沙"
读特客户端
2025-09-23
00:12深圳120将启用“硬核装备”!涉水救护车来了
读特客户端
2025-09-23
00:18深圳市水务局多措并举,筑牢台风防御安全屏障

深圳晚报
2025-09-23
00:18暖心!特殊青年小刘避险记
读特客户端
2025-09-23
00:09深圳人注意 这条隧道已封闭!车辆行人均不可通行
读特客户端
2025-09-23
00:18“桦加沙”来袭!罗湖区启用无人机巡查 织就防台风“天眼”
读特客户端
2025-09-23
00:15特别设置女生专区!南山全力做好人员转移安置工作

深圳晚报
2025-09-23
00:11市急救中心启动台风应急预案,配备涉水救护车

深圳晚报
2025-09-23

晶视频丨“桦加沙”前夕,航拍镜头下的深圳

晶报
2025-09-23

晶视频|超强台风“桦加沙”逼近深圳,疏散转移约26万人

晶报
2025-09-23

晶视频|美团等多家外卖平台宣布: 深圳区域18时起暂停服务

晶报
2025-09-23
00:28深汕全力防御超强台风“桦加沙” 累计转移超1. 8万人
读特客户端
2025-09-23
00:14直击福田体育公园应急场所:现场居民已妥善安置
读特客户端
2025-09-23
湾视频|宝体安置点可容纳500人 市民为深圳宝安温度点赞
读特客户端
2025-09-23
00:08今日20时起,深圳部分隧道封闭

深圳晚报
2025-09-23
湾视频|深圳地铁提前结束运营 记者实拍最后一班地铁
读特客户端
2025-09-23
00:10暴雨中的暖心港湾!深圳滨河实验中学开放应急避难点,339名建设者吃上热乎饭

深圳晚报
2025-09-23
00:08民治街道民康社区党委“闻风”而动,链接300+车位解车主燃眉之急

深圳晚报
2025-09-23
00:27超强台风“桦加沙”来袭 广东海警局全力筑牢海上安全屏障

深圳晚报
2025-09-23
00:49超强台风“桦加沙”来袭 看海上平台如何高效避台
读特客户端
2025-09-23
00:11可提供三天基本餐食保障,深大开放避难场所

深圳晚报
2025-09-23
00:13她们在避难场所绣围裙、绣鞋垫!罗湖34处避难场所集中安置3000多名工友

深圳晚报
2025-09-23
00:18深圳公益救援队坪地集结抗台风

读特客户端
2025-09-23
00:24南海东部油田31个设施启动“台风生产模式”

读特客户端
2025-09-23
湾视频|强烈推荐收藏!记者提问台风天保命指南 【出行篇】避坑#桦加沙 (宝234)
读特客户端
2025-09-23
00:37深圳市三防办:深圳已疏散转移约26万人 避难场所集中安置约4.5万人

深圳晚报
2025-09-23
00:43“桦加沙”来前为啥这么静?

读特客户端
2025-09-23
00:15全员行动!龙华区各街道积极备战抵御台风“桦加沙”

深圳晚报
2025-09-23
01:04紧急!最高级别!台风红色预警信号预发布

深圳晚报
2025-09-23
00:46“深圳,谢谢你让我这个异乡人有了家的感觉”

读特客户端
2025-09-23

晶视频|“桦加沙”来袭 “喜洋洋”和“乐融融” 也被绑起来

晶报
2025-09-23

晶视频|桦加沙,我有“镇宅之宝”!

晶报
2025-09-23
00:12台风“桦加沙”逼近,记者直击深圳南澳街头现场

读特客户端
2025-09-23
00:40深圳台风预警或将升级为红色!

读特客户端
2025-09-23
00:09紧急通知!深圳机场自9月23日20时起暂停航班运行

读特客户端
2025-09-23
00:09深圳地铁今日提前结束运营,末班车18时发出

读特客户端
2025-09-23
湾视频|无需担忧!“菜篮子”管够!
读特客户端
2025-09-23
00:08集中上架!深圳生活物资供应充足

深圳晚报
2025-09-23
00:13深圳于23日10时发布台风橙色预警信号!“桦加沙”即将进入我市500公里范围

读特客户端
2025-09-23
00:13“桦加沙”距深500公里 将于24日在深圳到徐闻一带沿海登陆

读特客户端
2025-09-23
00:30台风天别慌,深圳最大“菜篮子”满当当

深圳特区报
2025-09-22
00:16不用慌!深港市民最大“菜篮子”管够

深圳晚报
2025-09-22
00:30“桦加沙”逼近 罗湖体育馆应急避难场所准备就绪
读特客户端
2025-09-22
00:28“桦加沙”叠加天文大潮 极易引发城市内涝 不要因为今天天气好而掉以轻心
读特客户端
2025-09-22
00:264000余人应急队伍准备就绪,深圳供电局以最高级别响应备战超强台风“桦加沙
读特客户端
2025-09-22
00:14罗湖桂木园社区劝导转移低洼易涝区居民
读特客户端
2025-09-22
01:23深汕渔船 回港避风
读特客户端
2025-09-22
00:33超强台风“桦加沙”来临前,深圳人都在干什么?
读特客户端
2025-09-22
00:07深圳台风黄色预警信号已生效!注意防御

深圳晚报
2025-09-22
01:03台风“桦加沙”逼近,大鹏居民拥有“稳稳的幸福”
读特客户端
2025-09-22
00:091700余人安全撤离,海上平台启动“无人模式”

深圳晚报
2025-09-22
00:12有饭吃有衣穿还能上网!福田 69 个应急避险点准备就绪,可容纳18000人
读特客户端
2025-09-22
00:11深圳地铁将可能采取停运措施
读特客户端
2025-09-22
00:25深圳865处应急避难场所已做好物资准备
读特客户端
2025-09-22
00:09吃不完,根本吃不完!海吉星·深圳等菜肉果蛋全管够

读特客户端
2025-09-22

晶视频|门窗贴好“米”字胶带! 大鹏餐厅民宿严防“桦加沙”

晶报
2025-09-22

晶视频丨福田区园岭街道:积极处置高危树木,守护居民安全

晶报
2025-09-22
00:12超强台风“桦加沙”逼近,深圳垃圾桶已系上“安全带”
读特客户端
2025-09-22
00:46深圳市三防办:全市865所应急避难场所随时开放,各类应急抢险队伍已整装待发

深圳晚报
2025-09-22
00:19迎战超强台风“桦加沙”,深圳商超前置备货保障生活物资供应
读特客户端
2025-09-22
00:11叮咚买菜在广东地区已提前提升备货量

深圳晚报
2025-09-22
00:25全力确保深圳电网安全!深圳供电局以最高级别响应备战超强台风“桦加沙”

深圳晚报
2025-09-22
00:069月23日15时起,港珠澳大桥主桥临时封闭

深圳晚报
2025-09-22
00:13深圳机场自9月23日20时起暂停航班运行
读特客户端
2025-09-22
00:07深圳地铁:将可能采取线路停运措施

深圳晚报
2025-09-22

评论丨台风过后更见“绣花功夫”

深圳特区报
2025-09-25

评论丨“一键暂停”与“一键复活”背后的共同守护

深圳特区报
2025-09-25

评论丨避难场所设女性专区传递深圳温度

深圳特区报
2025-09-24

读特热评|咱们一起来,一定能打赢
读特客户端
2025-09-24

评论 | 风雨一线见担当

深圳特区报
2025-09-24

深圳今天继续“五停”!不要外出!不要外出!不要外出!
读特客户端
2025-09-24

特评|细节体现城市韧性

深圳特区报
2025-09-23

超强台风来袭 一位来深青年却感慨被“深圳温度”暖到了

读特客户端
2025-09-23

读特热评|面对“桦加沙”不可大意,也别慌神

读特客户端
2025-09-23

评论 | 台风即将来袭,充足物资为安心兜底

深圳特区报
2025-09-22

特评 | 严之又严 细之又细 实之又实
读特客户端
2025-09-22

读特热评|宁可“十防九空”,也不能一次放松!

读特客户端
2025-09-22

台风过后,这些事项要注意→

读特客户端
2025-09-24

“风王”逼近,这10个保命操作,赶紧收藏转发!
读特客户端
2025-09-23
00:44今年最强台风逼近,防御指南请收好→
读特客户端
2025-09-22

广东全省总动员迎战“桦加沙”,一组海报划重点!
读特客户端
2025-09-22

长图|风王“桦加沙”来袭!最大风力达17级,这些重要的安全知识必须掌握!

读特客户端
2025-09-22

宝安全区戒备!超强台风明日抵深,学校停课48小时

宝安日报
2025-09-22

南方电网深圳供电局响应备战超强台风“桦加沙”

深圳新闻网
2025-09-22

台风“桦加沙”来势凶猛,深圳约40万人需要避险转移

深圳新闻网
2025-09-22

迎战超强台风“桦加沙”,深圳商超前置备货保障生活物资供应

读特客户端
2025-09-22

台风“桦加沙”来临 这份防御宝典请收好

读特客户端
2025-09-22

受超强台风“桦加沙”影响,9月24日广东省内所有高铁、普速列车停运

深圳新闻网
2025-09-22

全面做好各项防御准备工作,南山开放避难场所52处
读特客户端
2025-09-22

“桦加沙”逼近!深圳大鹏应急避难场所开放,这些景区已经关闭
读特客户端
2025-09-22

至少备3天应急物资!超强台风“桦加沙”体型超整个广东省

读特客户端
2025-09-22

台风“桦加沙”逼近,广东防风应急响应提升为Ⅱ级
南方 +
2025-09-22

台风“桦加沙”逼近,什么情况下启动“五停”?权威解读来了

深圳特区报
2025-09-22
“桦加沙”已加强为超强台风级 如遇需要帮助的人 可拨打这些电话
读特客户端
2025-09-22

“风王”已升至17级,广东多地下周或停工停课!台风“桦加沙”逼近,请收好这份超全防范指南

读特客户端
2025-09-21

台风“桦加沙”即将来袭,如需救助请拨打电话

深圳特区报
2025-09-21

全市进入暴雨紧急防御状态!这份最全救助电话与全市避难场所资料请收好

深圳商报・读创客户端
2025-09-21

今日双超强台风罕见同现!台风来了如何应对?这份指南请收好→
@深圳天气
2025-09-21
00:39飞机为什么要往台风眼里“钻”
读特客户端
2025-09-24

登陆时间、地点都有些模糊,为什么台风“桦加沙”这么难捉摸?
南方+
2025-09-24
画说“桦加沙”(学生版)
读特客户端
2025-09-24

晶视频 | 台风风力能有多强?体重150斤的记者实测!

晶报
2025-09-23

超强台风“桦加沙”来势汹汹,这些安全Tips请收好

深圳新闻网
2025-09-23

台风“桦加沙”来前为啥这么静?能出去玩吗?晴朗背后藏着这些门道

深圳晚报
2025-09-23

最大风力17级,破坏力堪比“山竹” 风王“桦加沙”到底有多厉害?!
读特客户端
2025-09-23

风王“桦加沙”正强势逼近!窗户贴“米”字胶带真的管用吗?|飞阅深圳
读特客户端
2025-09-23

四问风王“桦加沙”:为何这么猛,哪里风雨最强?
中国天气网
2025-09-22

为什么台风天要锯树?一个视频读懂背后的“安全密码”!

读特客户端
2025-09-22

警惕!秋台风为啥经常是狠角色
中国天气网
2025-09-21
近日,江苏王女士(化名)饲养的 7 岁阿拉斯加犬突然将主人 70 岁的父亲扑倒咬伤,导致老人严重受伤,多处伤口需手术治疗,王女士因此决定对犬只执行安乐死。据悉,这只阿拉斯加犬从小就被王女士送到父母家饲养,曾有咬人“前科”,王女士曾尝试送犬只进行专业驯犬矫正,但效果不佳。 此事曝光后引发全网激烈争议:有网友认为该犬屡教不改、存在严重安全隐患,支持安乐死;有网友反对,觉得应继续矫正而非直接处死;还有网友认为根源是主人饲养失责,在训犬师面前乖巧、回家就翻脸的情况,恰恰暴露了家庭教育的缺失,不该仅让狗狗承担后果。
上海某宠物健身房火上热搜:月卡 1980 元,单次体验 599 元,年卡近 2 万。据悉,该宠物健身房提供狗狗跑步、水疗游泳、按摩、一对一教练,还能做关节康复。你怎么看?
街头外文公示语藏“BUG”?语法错、翻译怪、用词尬…… 影响城市颜值还误导人! 读特全城召集“外文纠错达人”,邀你给深圳街头巷尾的外文公示语“挑错”!全民“找茬”赢积分,助力深圳国际化! 【本期话题】#深圳外文纠错大挑战# 【参与方式】 1、拍深圳公共场所外文错漏(景区、地铁、商场等),清晰呈现场景+公示语; 2、文案备注位置+错误点+修改建议(例:“XX地铁站‘出口’写成‘Exits,正确 Exit”); 3、带话题#深圳外文纠错大挑战#,发布图文/视频 【奖励说明】 纠错王者(1名):5000读特积分 纠错能手(2名):3000读特积分/人 纠错达人(3名):1000读特积分/人 全民参与奖:有效纠错即得100积分(可叠加排名奖) *按有效纠错数量排序,若数量相同,则按最早提交纠错条数的用户排名优先。 【特别提醒】 原创素材+真实纠错,重复内容以首提为准; 积分可在读特积分商城兑换粮油、沐浴产品、菌菇干货等奖品~
迎接2026APEC“中国年”的重磅文艺作品《奇迹》火热开播!剧集聚焦特区热土上的普通人,以鲜活奋斗故事勾勒城市 45 载发展变迁。全剧深入华强北、国贸大厦、莲花山公园等200 余个深圳地标实地取景,走访近百位特区建设亲历者,更通过全球故事征集活动,打捞珍贵时代记忆。 即日起,带话题分享 《奇迹》取景地美照,或是你和身边人的奋斗故事,快来鹏友圈分享属于你的深圳记忆,见证平凡铸就的不凡奇迹~ 【本期话题】#我身边的深圳奇迹# 【活动时间】12月22日-1月22日
00:09筷子书法/但愿人长久千里共婵娟
首页





